Bão Biển Đông 2026 giảm mạnh, nhưng thời tiết nguy hiểm hơn vì nắng nóng
Dự báo bão mới nhất do cơ quan khí tượng Hong Kong (Trung Quốc) đưa ra cho thấy sẽ có từ 4-7 cơn bão ở Biển Đông trong năm 2026.

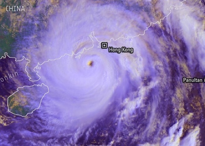
Siêu bão Ragasa năm 2025 nhìn từ vũ trụ. Ảnh: NASA
Dự báo bão của Đài Khí tượng Hong Kong (Trung Quốc) ngày 23.3 cho hay, Hong Kong (Trung Quốc) dự báo ghi nhận từ 4 đến 7 cơn bão trong giai đoạn từ tháng 6 đến tháng 10. Con số này chưa tới một nửa so với kỷ lục 14 cơn bão của năm ngoái.
Mùa bão tại Hong Kong (Trung Quốc) được dự báo bắt đầu vào tháng 6 hoặc muộn hơn và kết thúc vào tháng 10 hoặc sớm hơn, theo Giám đốc Đài Khí tượng Chan Pak-wai.
“Có khả năng sẽ có khoảng 4-7 cơn bão tiến vào phạm vi 500km tính từ Hong Kong (Trung Quốc) trong năm nay, mức gần với trung bình" - ông nói.
Ông Chan thông tin thêm, khả năng hình thành El Nino trong nửa cuối năm làm gia tăng nguy cơ nắng nóng cực đoan tại nhiều khu vực và trên biển.
“Nhiệt độ trung bình năm tại Hong Kong (Trung Quốc) được dự báo cao hơn mức bình thường, với khả năng lớn lọt vào top 10 năm nóng nhất lịch sử ghi dữ liệu" - ông nói.
Tuy nhiên, do hiện vẫn là mùa xuân, thời điểm xuất hiện El Nino và tác động rõ ràng tới thời tiết Hong Kong (Trung Quốc) chỉ có thể được xác định chính xác hơn khi gần đến mùa hè, ông lưu ý.
Dù số lượng bão dự báo giảm trong năm 2026, người dân vẫn cần chuẩn bị ứng phó với khả năng mưa lớn và các đợt mưa xối xả cục bộ, nhà dự báo của Hong Kong (Trung Quốc), cho hay.
Ông lưu ý, trong các năm El Nino trước đây, từng có trường hợp phải phát tín hiệu bão cấp 10, như siêu bão Saola năm 2023.
Ông Chan cho biết, thời tiết phá kỷ lục khiến năm 2025 trở thành năm nóng thứ 6 trong lịch sử Hong Kong (Trung Quốc).
Trên phạm vi toàn cầu, năm 2025 đang trên đà trở thành năm nóng thứ 2 hoặc thứ 3 trong lịch sử, theo đánh giá sơ bộ của Tổ chức Khí tượng Thế giới (WMO).
“Tháng 10.2025 đặc biệt nóng, phá vỡ các kỷ lục về nhiệt độ trung bình tháng, nhiệt độ tối thiểu trung bình tháng, cũng như số ngày và đêm nắng nóng trong tháng 10" - ông Chan nói.
Mùa đông vừa qua, từ tháng 12 năm ngoái đến tháng 2, cũng là mùa đông ấm nhất từng được ghi nhận, với nhiệt độ trung bình đạt 19,3 độ C, cao hơn 2 độ C so với bình thường.
Năm ngoái chỉ ghi nhận 6 ngày lạnh, ít hơn 9,2 ngày so với mức trung bình giai đoạn 1991-2020.
Đây cũng là lần đầu tiên không có cảnh báo thời tiết lạnh nào được ban hành trong tháng 11 hoặc tháng 12 kể từ khi hệ thống cảnh báo được áp dụng năm 1999.
Năm ngoái, Đài Khí tượng Hong Kong (Trung Quốc) cũng phát đi 14 tín hiệu cảnh báo bão, nhiều nhất kể từ năm 1946.
Những cảnh báo này bao gồm tín hiệu cấp 10 đối với bão Wipha và siêu bão Ragasa, lần lượt vào tháng 7 và tháng 9.
Ông Chan nhận định, vùng biển quanh Philippines vào thời điểm dự báo bão năm ngoái có nhiệt độ cao bất thường, dẫn tới dự báo từ 5 đến 8 cơn bão, vốn đã là mức cao.
Tuy nhiên, do ảnh hưởng của El Nino, khu vực đông Thái Bình Dương gần Bắc Mỹ ấm lên, trong khi vùng tây Thái Bình Dương vẫn ở mức bình thường, khiến số lượng bão năm nay được dự báo giảm.







