Siêu bão Ragasa lộ con mắt khổng lồ, cuộn thẳng về Biển Đông
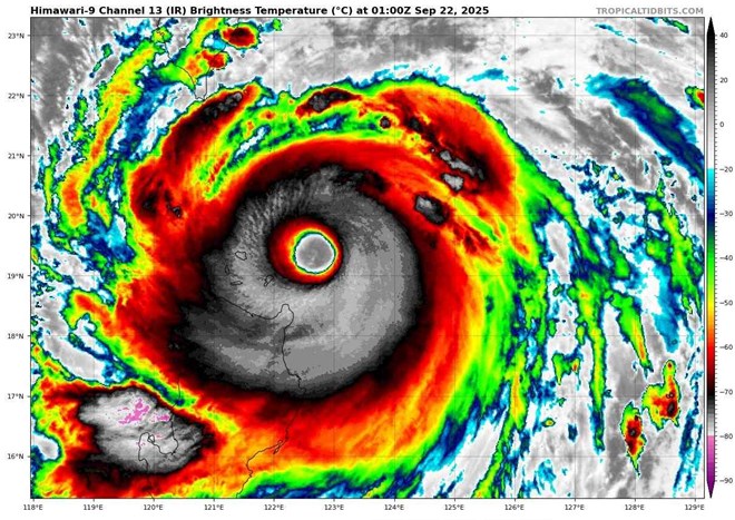
Ảnh vệ tinh cho thấy con mắt khổng lồ đường kính hơn 70km của siêu bão Ragasa. Dự báo chỉ còn chưa đầy 72 giờ nữa, bão sẽ áp sát bờ biển Việt Nam.

Mắt siêu bão Ragasa lúc 8h ngày 22.9.2025. Ảnh: Tropicaltidbits.com
Ảnh vệ tinh Himawari của Nhật Bản sáng 22.9 cho thấy mắt bão khổng lồ, đường kính hơn 70km, đang xoáy dữ dội trên bầu trời Bắc Luzon (Philippines).
Siêu bão Ragasa đã đạt cực đại với sức gió giật 270 km/h, trở thành cơn bão mạnh nhất thế giới năm 2025 và đang cuộn thẳng hướng Biển Đông.
Theo tin bão mới nhất của Trung tâm Khí tượng Tokyo (RSMC), siêu bão Ragasa chính thức tụt áp suất xuống 905 hPa - mức thấp kỷ lục trong năm nay. Với thông số này, Ragasa vượt qua siêu bão Yagi và Erin, giữ ngôi vị bão mạnh nhất hành tinh năm 2025 tính đến nay.

Giới khí tượng quốc tế đang lo ngại siêu bão Ragasa có thể chạm ngưỡng sức tàn phá của siêu bão Hải Yến (Haiyan) năm 2013 - một trong những siêu bão khủng khiếp nhất lịch sử hiện đại.
Ngày 22.9, toàn bộ miền Bắc Luzon, Philippines đang bị ảnh hưởng trực tiếp. Mưa lớn, gió giật cực mạnh, sóng biển cao tràn sâu vào đất liền. Tại Punta, Aparri (Cagayan), nước biển đã gây ngập úng nghiêm trọng.
Các đảo Babuyan, Calayan, Didicas được đặt ở mức cảnh báo bão số 5 - mức cao nhất của Philippines - với dự báo gió giật vượt cấp 17. Chính quyền địa phương khuyến cáo người dân tuyệt đối không rời nơi trú ẩn khi bão đi qua.
Dự báo tâm bão sẽ đi qua hoặc đổ bộ vào khu vực quần đảo Babuyan vào trưa 22.9 hoặc đầu giờ chiều.
Siêu bão Ragasa với sức gió cực mạnh ở Gonzaga, Cagayan, Philippines, sáng 22.9.2025. Video: Philippine Weather System/Pacific Storm Update
Các trung tâm dự báo lớn đồng loạt dự báo siêu bão Ragasa sẽ tiến vào Vịnh Bắc Bộ trong vòng 72 giờ tới, với cường độ giảm dần nhưng vẫn cực kỳ nguy hiểm.
Theo dự báo bão của Trung tâm Dự báo Khí tượng Thủy văn Quốc gia Việt Nam, bão cực đại cấp 17, sau giảm xuống cấp 13-14 trên vùng biển phía Đông Vịnh Bắc Bộ vào sáng 25.9.

Cơ quan Khí tượng Nhật Bản (JMA) dự báo bão đạt cực đại cấp 16, hạ còn cấp 10-12 khi vào bờ biển Bắc Bộ.
Trung tâm cảnh báo bão Liên hợp Mỹ (JTWC) dự báo gió giật cực đại 270 km/h, khi gần bờ biển Thái Bình còn cấp 9-11.
Đài Quan sát Khí tượng Hong Kong (Trung Quốc) dự báo siêu bão đạt đỉnh cuối cấp 17, vào Quảng Ninh - Hải Phòng ở cấp 11-12.
Dù các kịch bản có khác biệt nhỏ, các dự báo đều thống nhất rằng bão Ragasa (bão số 9) sẽ đổ bộ từ Quảng Ninh đến Hà Tĩnh trong ngày 25.9, với sức gió mạnh nhất cấp 11-13.
Hoàn lưu bão Ragasa được dự báo gây mưa lớn kéo dài nhiều ngày ở Bắc Bộ và Bắc Trung Bộ, từ ngày 25 đến 28.9. Ven biển Quảng Ninh - Hải Phòng có thể hứng gió giật cấp 13-14 ngay từ sáng 25.9, nguy cơ cao xảy ra ngập lụt, sạt lở và triều cường.
Các chuyên gia khí tượng khuyến cáo người dân vùng ven biển cần nhanh chóng gia cố nhà cửa, neo đậu tàu thuyền và chuẩn bị sẵn phương án sơ tán.
Trong khi đó, trên mạng xã hội Philippines, hàng nghìn lời cầu nguyện được đăng tải khi siêu bão Ragasa tiếp tục tàn phá Bắc Luzon. “Chỉ có thể cầu mong chúng ta sẽ vượt qua cơn bão quái vật này” - một người dân viết.







