Milton thần tốc trở thành siêu bão mạnh nhất hành tinh 2024
Siêu bão Milton tăng vọt 5 cấp trong 24 giờ thành cơn bão mạnh nhất hành tinh năm 2024. Cơn bão này khiến giới dự báo bão bàng hoàng.

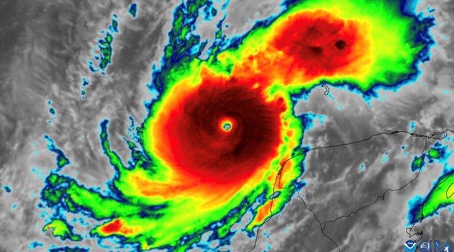
Siêu bão Milton được xem là cơn bão chưa từng có tiền lệ. Ảnh: CIRA
Tin bão mới nhất của CNN nhận định, "sức mạnh của bão cuồng phong Milton thật khó tin". Với sức gió duy trì 290 km/h, bão Milton là cơn bão mạnh nhất hành tinh trong năm nay.
Theo nhà khí tượng học Brandon Miller của CNN, Milton cũng là cơn bão mạnh nhất ở Đại Tây Dương kể từ bão Dorian năm 2019, với sức gió duy trì tối đa gần 300 km/h.
Với những diễn biến mới nhất, siêu bão Milton đã trở thành 1 trong 10 cơn bão mạnh nhất từng ghi nhận ở Đại Tây Dương, trong đó Milton xếp hạng 9 ở danh sách có những cơn bão lịch sử như Katrina năm 2005 và Maria năm 2017.
Cơn bão mạnh nhất từ trước đến nay của Đại Tây Dương là bão Allen năm 1980 với sức gió liên tục tối đa 305 km/h.
Tuy nhiên, dự báo bão mới nhất của Trung tâm Bão Quốc gia Mỹ (NHC) cảnh báo, siêu bão Milton đang tiếp tục mạnh lên và vẫn đang là cơn bão cuồng phong cấp 5 nguy hiểm.
Chuyên gia khí tượng Mary Gilbert của CNN lưu ý, siêu bão Milton đã mạnh lên với tốc độ choáng váng, tăng thêm 145 km/h kể từ 1 giờ sáng ngày 7.10 và chính thức tăng gấp đôi sức mạnh trong vòng chưa đầy 24 giờ.
Cảnh báo bão cuồng phong đã được ban hành cho một số khu vực của Florida với khả năng tác động có thể bắt đầu trong vòng 48 giờ. Cảnh báo nước dâng do bão cũng đã được ban hành cho một số khu vực ven biển.
Dự báo bão mới nhất cho hay, siêu bão Milton sẽ đổ bộ vào Florida đêm 9.10, ở gần khu vực Vịnh Tampa. Milton được dự báo sẽ yếu đi một chút trước khi đổ bộ, nhưng sẽ lớn hơn về kích thước và vẫn là một cơn bão dữ dội khi đổ bộ.
"Hôm nay, chúng ta đang chứng kiến tốc độ tăng cấp lịch sử của Milton. Chưa từng có tiền lệ là từ duy nhất có thể mô tả" - CNN dẫn mô tả về siêu bão Milton của chuyên gia về bão Andy Hazleton.

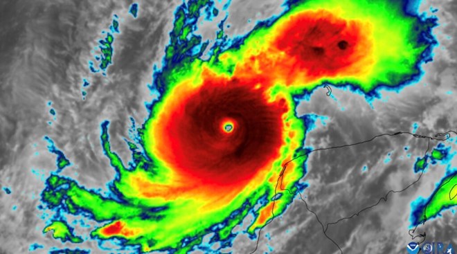
Siêu bão Milton tăng cấp thần tốc, vượt qua mọi dự báo bão. Ảnh: NOAA
Siêu bão Milton đã tăng cấp thần tốc, vượt qua mọi dự báo. Siêu bão này bùng nổ chóng vánh từ một cơn bão nhiệt đới vào cuối sáng 6.10 thành một cơn bão cấp 5 chỉ một ngày sau đó.
Nhiều chuyên gia dự báo bão khác cũng bày tỏ sự bàng hoàng. “Milton đang trải qua giai đoạn tăng cường cực nhanh” - nhà khí tượng Tomer Burg chia sẻ với CNN.
Sức mạnh của siêu bão Mitlon “thực sự đáng kinh ngạc”, Eric Webb, một nhà khí tượng học khác cho biết thêm. “Tốc độ tăng cấp của bão Milton sáng nay không gì khác ngoài huyền thoại và gần như chưa từng có tiền lệ”.
CNN lưu ý, chỉ có 2 cơn bão Đại Tây Dương mạnh lên nhanh hơn Milton trong vòng 24 giờ nhưng không nêu tên 2 cơn bão còn lại.
Trong mùa bão Đại Tây Dương 2024, Milton là cơn bão thứ hai đạt cấp 5. Trước đó, siêu bão Beryl đạt cực đại là cấp 5 ở Biển Caribe vào đầu tháng 7.
Theo dữ liệu từ NOAA, chỉ có 40 cơn bão đạt cấp 5 trong lưu vực này. Trước mùa bão 2024, chỉ có 2 cơn bão cấp 5 di chuyển trong lưu vực này vào những năm 2020: Ian năm 2022 và Lee năm 2023.









