Dự báo tái hiện siêu bão lịch sử
Siêu bão mạnh lịch sử như siêu bão Beryl năm 2024 có thể tái hiện trong mùa bão 2025, theo cảnh báo của các chuyên gia.

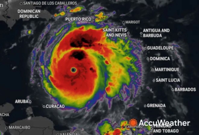
Siêu bão Beryl năm 2024. Ảnh: AccuWeather
Mùa bão 2025 ở Đại Tây Dương chính thức bắt đầu trong vòng chưa tới 100 ngày nữa. Chưa có áp thấp nhiệt đới hoặc bão ở lưu vực Đại Tây Dương trong thời gian tới nhưng các nhà dự báo đang theo dõi chặt chẽ những điều kiện thời tiết có thể ảnh hưởng tới diễn biến của mùa bão.
"Vùng biển Caribe cực kỳ nóng ấm. Điều này cho thấy nếu có một cơn bão như Beryl hình thành trong khu vực, chúng ta có thể chứng kiến một cơn bão mạnh bất thường trong năm nay" - chuyên gia dự báo bão Bryan Norcross của FOX Weather cảnh báo.
Biển Caribe đang có nhiệt độ cao hơn mức trung bình, làm dấy lên lo ngại về những cơn bão dữ dội hơn trong mùa bão năm nay. Nếu tận dụng những điều kiện này, bão có khả năng mạnh lên chóng vánh và khó lường như siêu bão Beryl năm 2024. "Nếu có một cơn bão như bão Beryl đi vào đây, năm nay chúng ta sẽ có một cơn bão mạnh bất thường" - nhà dự báo bão Norcross cảnh báo.
Siêu bão Beryl đi vào lịch sử khi trở thành cơn bão Đại Tây Dương mạnh nhất được ghi nhận vào tháng 6, đánh bại cơn bão Audrey năm 1957. Từ áp thấp nhiệt đới, Beryl mạnh lên thành bão cấp 3 trong vòng chưa đầy 48 giờ, một diễn biến chưa từng xảy ra với những cơn bão hình thành trước tháng 9. Theo thông lệ, Đại Tây Dương không ghi nhận bão lớn trước ngày 1.9.
Beryl tiếp tục viết lại kỷ lục khi bước sang tháng 7, với gió giật gần 260 km/h vào đêm 1.7, trở thành siêu bão cấp 5 sớm nhất được ghi nhận trong lịch sử và đánh bại kỷ lục do siêu bão Emily lập ngày 16.7.2005. Vài giờ sau, Beryl tiếp tục phá kỷ lục, với gió giật lên tới 265 km/h, vượt Emily trở thành bão cuồng phong mạnh nhất trong tháng 7.
Danh sách tên bão cho mùa bão 2025 ở Đại Tây Dương có những cái tên tương tự như năm 2019, riêng Dorian đã được thay bằng Dexter. Mùa bão năm 2019 được các chuyên gia đánh giá là cực kỳ dữ dội, với 18 cơn bão được đặt tên, trong đó có siêu bão cấp 5 Dorian kéo dài nhiều ngày để lại hậu quả vẫn còn nhìn thấy được cho đến ngày nay.

Tên bão cho mùa bão Đại Tây Dương 2025. Ảnh: Fox Weather
Thông thường, mùa bão ở Đại Tây Dương có 14 cơn bão được đặt tên, 7 bão cuồng phong và 3 bão lớn. Tuy nhiên, số lượng bão mỗi mùa có thể thay đổi tùy thuộc vào các yếu tố như El Nino - Dao động phương Nam, hay thường gọi là ENSO. Dự báo, trong giai đoạn của mùa bão 2025 ở Đại Tây Dương, pha trung tính của ENSO, chứ không phải La Nina hay El Nino, chiếm ưu thế.
Sự kết hợp giữa điều kiện ENSO trung tính và nước biển nóng ấm làm tăng khả năng hình thành bão ngoài các tuần đỉnh điểm thông thường vào cuối tháng 8 và tháng 9.
Các chuyên gia về bão cảnh báo, do điều kiện ENSO thay đổi nên thời gian và tác nhân gây bão nói chung vẫn chưa chắc chắn. Các nhà dự báo bão chưa rõ nửa đầu hay nửa sau mùa bão sẽ có bão dữ dội hơn hoặc bão xuất hiện đều đặn trong 6 tháng của mùa bão.
Trong mùa bão 2024, có một giai đoạn kéo dài không có bão hoặc áp thấp nhiệt đới dù có điều kiện thuận lợi. Điều này càng nêu bật tính khó dự báo của bão trong dự báo năm nay. Dự báo bão sớm cho mùa bão 2025 sẽ chính thức công bố vào tháng 4 và tháng 5 để cung cấp thêm thông tin chi tiết về các mô hình dự báo.







